Surprising Science
All Stories
Academic publishers have some of the highest profit margins in the world. In the digital age, researchers are starting to wonder whether publishers actually deserve this much money.
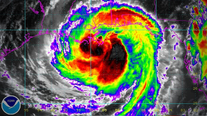
Images revealing the power of Hurricane Florence enthrall us and terrify us at the same time.
A new study shows that the worse off you think you are, the more likely you are to choose the steak over the garden salad.
For sufferers of Alzheimer’s, the answer is yes. But replacing movement with a pill is not the best option.
A new computer model suggests that the 21st century will have more frequent hurricanes of staggering force.
A mining company in Australia has unearthed what could be some of the largest gold specimens ever discovered.
A new study asks the question: can a massive solar and wind farm be implemented in the Sahara? According to at least one of the authors, it’s possible to create these solar and wind farms with technology available right now.
Some scientists feel that the attacks on U.S. embassy workers in Cuba and China were carried out by secret microwave weapons. Others think that’s just silly.
Ever since we’ve had the technology, we’ve looked to the stars in search of alien life. It’s assumed that we’re looking because we want to find other life in the universe, but what if we’re looking to make sure there isn’t any?
The placebo effect has been exhaustively researched over the years, but scientists haven’t gotten much closer to explaining what causes it. Now, additional research is showing that the placebo effect is even stranger than we thought.
Elon Musk appeared on the Joe Rogan Experience for a conversation that covered topics ranging from the inner workings of neural link technology to the differences between a joint and a blunt.
About twice the size of Earth, 503b orbits its own star every six days.
New evidence emerges that microplastics eaten by marine animals may be traveling up the food chain to our plates.
A new study finds even babies can discern who leads and who bullies.
Results are among the strongest evidence yet for “spooky action at a distance.”rnrn
Calling all enterprising scientists who are dying to retire … or just put some cool cash into the bank.
A team at MIT has discovered that human brains are capable of “seeing” ghost images hidden between groups of patterns captured by single-pixel cameras.
We often praise selfless action, but it is even possible?
A survey asks 1,060 people how they handle the alarm clock when it goes off in the morning, and how long it takes them to get ready for the day.
Infographics present data about how much we commute, how much time and money we spend in traffic, and what we think should be done about it.
A new study suggests that switching to a Mediterranean diet in the later years can prolong your lifespan.
Videos for “Baby Shark,” a diabolical earworm, have been watched 3.3 billion times in a viral children-song craze that spans the globe. But why?
Think you make moral judgments objectively? Think again.
LEGO folks built an actual, full-sized replica of the Bugatti Chiron—and drove it. What’s next, a Mars rover?
A new study of 12,000 overweight patients shows that lorcaserin does not cause heart problems. But does that mean we should be taking it?
Researchers have just discovered a new type of neuron that may be something unique to humans. It’s called the rose hip neuron, and its in our cerebral cortexes.
Central Europe is so dry that grim warnings of famines to come are rising out of the Elbe.
An increasingly likely catastrophe can cause major disruptions in space flight and our daily lives.
Seeing Higgs boson decay may help physicists understand why the universe has mass.