After yesterday’s monster post about the prospects of drilling into the mantle (sorry, the petrologist side of me overpowered the volcanologist), today we catch up on some of the news:


Indonesia: It seems that the eruptive activity at Karangetang has waned to the point where the alert status was lowered from four (highest) to three. There have been fewer explosions and pyroclastic flows on the volcano according to Raden Sukhyar, head of the Ministry of Energy and Mineral Resources’ geological division. It is interesting to note that Sukhyar specific mentioned that people “stay calm and not to pay attention to groundless speculation about future eruptions“, so it seems that fearmongering was rampant near the volcano. As with many Indonesian volcanoes, there is still significant threat of lahars made from remobilized ash and tephra.

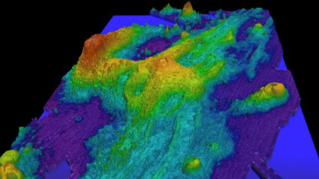
Axial Seamount off Oregon: I ran across this press release about a Nature Geosciences article on research being done at Axial Seamount, part of the spreading ridge off the coast of Oregon in the United States where it seems that evidence exists that points to explosive eruptions on the mid-ocean ridge. The traditional model is that most undersea eruptions at the depths of mid-ocean ridges are effusive – that is, mostly lava flows or pillow basalts. However, ash has been found at mid-ocean ridge vents, suggesting a more explosive component to the eruption. Research by workers at McGill University, Monterey Bay Aquarium Research Institute and Woods Hole found high contents of carbon dioxide in some of the inclusions in volcanic glass (ash) from Axial Seamount, suggesting that they can contain enough volatiles to erupt explosively even under pressures at that depth of seawater. These eruptions might be more of the aptly-named “neptunian” eruptions.

Nyiragongo: It seems, at least based on the number of pictures we see, that everyone and their brother descends into the crater at the Congo’s Nyiragongo. National Geographic has a new article on an expedition to the African volcano with all sorts of great images of the lava lake in the crater. MY favorite part is a video showing the lava lake “tectonics”, with mini-spreading centers and subduction zones on the hardened crust of the lake, as the lava below convects.

Volcano eye candy: If you’re just looking for some pretty pictures of volcanoes, check out the gallery from ABC News. Not a lot of content, but a good sort of “Greatest Hits” collection of recent volcanism.

Top left: A sonar image of Axial Seamount off the coast of Oregon.